


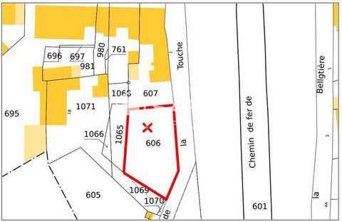
Située à Noyant-de-Touraine, proche de l'A10 et de la gare, à 3 minutes de Sainte Maure de Touraine, venez découvrir ce terrain de 470 m2. <br />Idéal pour votre future maison, il est proche des transports en commun, des écoles et de toutes les commodités nécessaires.<br />Il est situé en zone UA, constructible et borné, mais non viabilisé.<br />Les réseaux d'eau et d'électricité se trouvent au bord.Les informations sur les risques auxquels ce bien est exposé sont disponibles sur le site Géorisques : www.georisques.gouv.frPrix de vente : 22 000 €Honoraires charge vendeur